В столице могут появиться диагональные переходы и «вафельная» разметка. Проект обсудили на коллегии в Бишкекглавархитектуре. Информацию 24-kg.com подтвердили в пресс-службе муниципального предприятия.
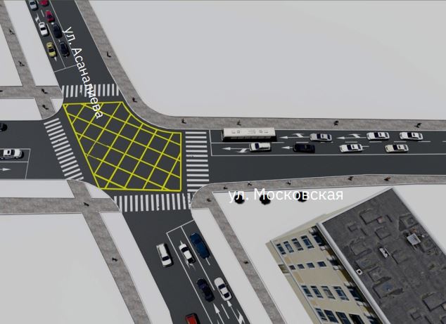
«Вафельную» разметку планируют применять на регулируемых перекрестках. Ее нанесение, отмечают в БГА, в идеале должно существенно снизить образование пробок и заторов на наиболее оживленных перекрестках.
«Разметка с вафельным рисунком нужна для четкого обозначения территории, на которую автомашине запрещено выезжать, если впереди существует затор. Водителю запрещается двигаться вперед к перекрестку и останавливаться на «вафельнице», становясь тем самым помехой для машин, двигающихся в поперечном направлении», — объяснили в Бишкекглавархитектуре.
Устройство диагонального пешеходного перекрестка способствуют сокращению времени перехода, снижению пробок и заторов, а также позволяет более рационально использовать светофоры.
Главной отличительной особенностью диагонального наземного пешеходного перехода является временная остановка всего автомобильного трафика на перекрестке и дача возможности всем пешеходам одновременно переходить перекресток во всех направлениях, в том числе по диагонали.


